VÍDEOS: Furacão Milton pode ser um dos piores dos últimos 100 anos nos EUA; o que sabemos até aqui

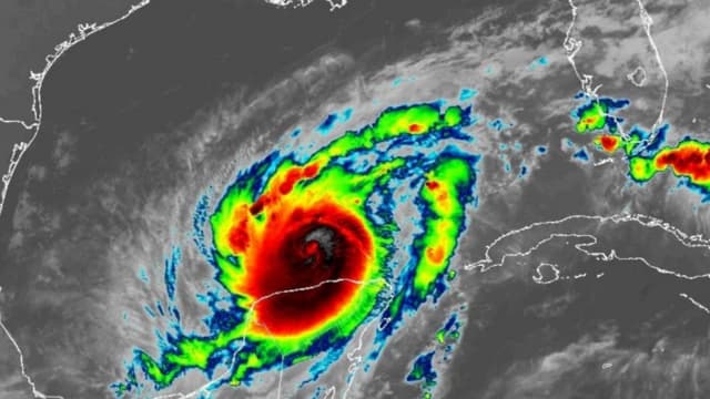
A previsão é que o furacão chegue à costa oeste da Flórida na noite de quarta-feira (9. (Foto: reprodução/NHC/EUA)
O furacão Milton, que está se aproximando dos Estados Unidos, foi classificado na noite desta terça-feira (8/10) como de categoria 5 — a mais grave. O fenômeno causa preocupação entre especialistas e está perto de atingir a Flórida.
Esta categoria corresponde a ocorrências em que os ventos ultrapassam os 252 km/h e quando há muitas construções destruídas e estradas bloqueadas.
A previsão é que o furacão chegue à costa oeste da Flórida na noite de quarta-feira (9) ou na manhã de quinta-feira (10), no horário local, segundo o Centro Nacional de Furacões dos Estados Unidos (NHC).
Milton pode enfraquecer um pouco à medida que se aproxima da Flórida. Algumas previsões sugerem que ele vai chegar à terra firme como um furacão de categoria 3 — mas isso não quer dizer que não tem um potencial devastador.
Publicação de @noticiasnofaceVer no Threads
De acordo com o Serviço Meteorológico Nacional dos Estados Unidos, os furacões de categoria 3 ou superiores são considerados furacões de alta intensidade devido ao seu potencial de causar perda de vidas e danos consideráveis.
O governo americano emitiu um alerta e disse que talvez seja “um dos piores dos últimos 100 anos”.
O presidente pediu que moradores da Flórida que vivem na rota traçada como a mais provável da tempestade deixem suas casas imediatamente. O furacão está avançando pelas águas do Golfo do México em direção aos Estados Unidos.
“É uma questão de vida ou morte”, disse o presidente americano.
Em seu relatório mais recente, o NHC informou que o furacão chegou a ventos máximos de 240 km/h.
Publicação de @astronimomysteryVer no Threads
Leia mais:
VÍDEO: Caçadores de tempestades voam dentro do furacão Milton, que ameaça a Flórida
VÍDEO: homem e cachorro são resgatados após ficarem à deriva em meio a furacão na Flórida
As últimas informações sobre o Furacão Milton
- O Milton se formou no Golfo do México e ainda não tocou o solo, apenas passou perto da península de Yucatán, no norte do México;
- Por precaução, o governo estadual fechou portos e prepara a maior evacuação dos últimos anos. Aeroportos da região também vão suspender voos;
- Milton deve atingir a área metropolitana de Tampa e a mesma região devastada recentemente pelo furação Helene;
- O NHC espera que o furacão Milton continue perdendo força ao avançar pelo estado da Flórida, se tornando uma tempestade de Categoria 3 na altura da Baía de Tampa;
- Biden, que estava de viagem marcada para a Ásia, cancelou o compromisso para acompanhar de perto os desdobramentos da passagem do furacão e declarou estado de emergência em toda a Flórida;
- O governo americano pediu para a população seguir orientações das autoridades e respeitar ordens de evacuação.
Por que Milton subiu tão rápido para categoria 5?
O furacão subiu em questão de horas da categoria 2 para 5. O salto em um curto período é raro, segundo meteorologistas. A cientista de furacões da Universidade de Albany, Kristen Corbosiero, sugere que Milton pode ter passado por uma área de calor intenso no Golfo do México, o que o intensificou ainda mais.
O que o furacão deve causar?
A tempestade pode causar inundações. A previsão é de até 38 centímetros de chuva em algumas localidades (normalmente a quantidade de chuva prevista é medida na casa de milímetros);
Os meteorologistas também esperam ressaca de 2,4 a 3,6 metros na Baía de Tampa, quase o dobro dos níveis alcançados durante o furacão Helene.
Publicação de @renefragaVer no Threads






