VÍDEO: Furacão Beryl, da categoria mais alta, provoca mortes e destruição no Caribe

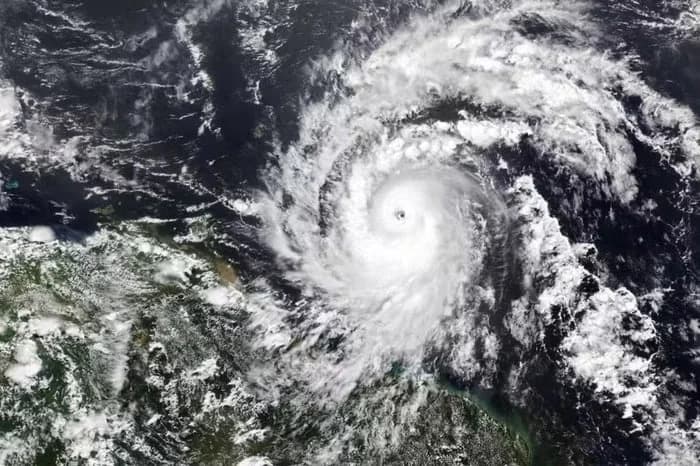
O furacão Beryl em imagem da Nasa (Foto: Divulgação).
O furacão Beryl, que atualmente avança pelo Caribe, alcançou nesta terça (2/7) a categoria 5, a mais alta na escala de furacões. Segundo o Centro Nacional de Furacões (NHC), os ventos máximos do Beryl chegaram perto de 257 km/h.
O Beryl tocou o solo na segunda-feira (1º) na ilha de Carriacou, em Granada, antes de passar por São Vicente e Granadinas e Barbados. Ele já deixou cinco mortos: três em Granada, um em São Vicente e Granadinas e um na Venezuela, segundo as autoridades locais.
Nesta terça (2), o primeiro-ministro Ralph Gonsalves, de São Vicente e Granadinas, durante coletiva de imprensa, anunciou que 90% das casas da ilha foram destruídas. São Vicente e Granadinas fica localizado na região do Caribe e tem uma população estimada em cerca de 110 mil habitantes, até o censo de 2018. O país, composto por várias ilhas, está no meio do caminho traçado pelo furacão Beryl.
Leia mais:
Nova vítima das enchentes é encontrada no Rio Grande do Sul e mortes sobem para 173
VÍDEO: Chega a 48 o número de mortos pelo furacão Otis, no México
Em Granada, cerca de 95% da energia foi cortada, e há uma vasta inoperância das telecomunicações.
Veja abaixo vídeo da passagem do Beryl em Granada:
Na quarta (3), o Beryl deverá atingir a Jamaica, e seguir na direção do Golfo do México.
De acordo com os cientistas, espera-se que o fenômeno perca força ao longo dos dias. Apesar disso, alertas foram emitidos para o Haiti, as Ilhas Cayman, Belize e para cidades situadas no sudoeste do Golfo do México.
A intensidade do Beryl marcou a segunda vez em que um furacão do Atlântico alcançou categoria 5 num mês de julho: a primeira vez que isso ocorreu foi com o furacão Emily, em julho de 2005.
A temporada de furacões deve ser a mais intensa dos últimos anos. Segundo a Administração Oceânica e Atmosférica Nacional (NOAA), há possibilidade de registro de quatro a sete furacões de categoria 3 ou superior.
*Com informações do UOL e Metrópoles.






